
第五章 空中交通管理
本章学习目标
1.了解交通管制的分类、现状。
2.了解空中交通规则以及国际空中航行原则以及交通管理系统。
3.了解航情警报和告警服务。
4.了解空域管理相关知识。
在浩瀚无垠的天空,飞机似乎可以不受约束地随意飞行,想往哪飞就往哪飞。其实并不如此:飞机就像车辆在地面行驶必须遵守交通规则、接受警察和红绿灯的指挥一样,飞机在天上飞行也必须要遵守空中交通规则,也要受到专门机构的指挥与调度,这就是——空中交通管制。
第一节 交通管制
空中交通管制是指利用通信、导航技术和监控手段对飞机飞行活动进行监视和控制,保证飞行安全和有秩序飞行。在飞行航线的空域划分不同的管理空域,包括航路、飞行情报管理区、进近管理区、塔台管理区、等待空域管理区等,并按管理区不同使用不同的雷达设备。在管理空域内进行间隔划分,飞机间的水平和垂直方向间隔构成空中交通管理的基础。由导航设备、雷达系统、二次雷达、通信设备、地面控制中心组成空中交通管理系统,完成监视、识别、导引覆盖区域内的飞机。

空中交通管制体系中的飞机飞行示意图
(一)空中交通管制的分类
空中交通管制可分为:
一般空中交通管制,适用于整个国土上空;特别空中交通管制,适合于边境地区、通过国界的空中走廊和某些特殊地区上空;
临时空中交通管制,适合于演习、飞行检阅和航天器发射场区上空;
地方空中交通管制,适合于某些地方航线和经过该地区航线的管制。
为了维持飞行秩序,保证飞行安全,空中交通管制部门要划定航线,规划防止各类飞机在空中相撞或与地面障碍物(如山头、高层建筑物等)相撞等事故发生。飞机从起飞到降落,一直处在空中交通管制之下,严格按预定时间、航线、高度、速度飞行,受机场空域管制中心、沿途航路管制中心和终点机场空域管制中心的指挥与调度。
(二)中国交通管制的现状
1.空管体制
就全国来说,实行“统一管制、分别指挥”的体制。即在国务院、中央军委空中交通管制委员会的领导下,由空军负责实施全国的飞行管制,军用飞机由空军和海军航空兵实施指挥,民用飞行和外航飞行由民航实施指挥。由于这一体制存在某种局限性,目前正在着手改革。就民航内部来说,空管系统实行“分级管理”的体制,即各级空管部门分别隶属于民航总局、地区管理局、省(市、区)局以及航站。总局空管局对民航空管系统实行业务领导,其余工作包括人事、财务、行政管理及基本建设等均由各地区管理局、省(市、区)局以及航站负责。
2.空域管理
全国划设飞行情报区9个,即北京、上海、广州、武汉、兰州、沈阳、昆明、乌鲁木齐以及台北飞行情报区。经2014年5月全国空管区域优化后,大陆上空划设高空管制区(兼中低空管制区) 8个,分别为北京管制区、上海管制区、广州管制区、成都管制区、沈阳管制区、西安管制区、三亚管制区和乌鲁木齐管制区(其中沈阳和乌鲁木齐管制区仍在建设中);绝大多数民用机场(含军民合用机场)均设置了塔台管制区域。
3.空管设施
经过不断的建设,基本形成了比较完善的通信、导航、情报、气象保障系统。通信保障方面,在全国绝大多数民用机场配置了卫星语音地面站和卫星数据地面站,每个管制单位装备了2套以上的甚高频对空通信台,部分对空通信薄弱地区配备了甚高频转播台,中国东部地区实现了7000米以上甚高频对空通信的覆盖。导航保障方面,绝大多数民用机场配备了仪表着陆系统、全向信标和测距仪,大部分高空、中低空管制区配备了二次或一、二次雷达,中国国东部地区基本达到7000米以上雷达覆盖。航行情报保障方面,正在建设航行情报自动化系统,航行通告及航行资料制作技术有了明显改进。气象保障方面,各机场配备了气象观测、预报设备,部分机场配备了气象雷达、自动观测系统、气象卫星云图接收设备,为航班飞行及时提供了所需的气象资料。
4.人员素质
民航空管系统现有管制、航行情报、通信、导航、气象等人员约12000人,其中管制人员约3000人。部分人员受过高等教育,其余人员受过中等专业教育。特别是管制员培训,各级一直比较重视,有专门培训管制员的高等院校,有较为完整的管制员训练大纲,有良好的现代化教学设施,有严格的管制员考核制度。管制员的训练拟分三步进行,即养成训练、资格训练和提高训练。养成训练主要有中国民航大学、广汉飞行学院以及南京航空航天大学担任,每年空管学院毕业1500人左右。资格训练、提高训练由各级空管部门组织,通过跟班见习、执照考核、送国外培训、专题研讨等形式进行。一个管制学员通常经过1~2年时间的培养,才能正式担负管制岗位的值班。
5.管制方式
尽管大部分管制区配备了二次或一、二次雷达,但管制方式还没有进行根本性的变革,除北京终端区、深圳进近管制区实行了雷达管制以外,绝大多数单位仍采用程序管制,或者雷达监视条件下缩小间隔的程序管制。
一、空中交通规则
空中的交通规则叫飞行规则,是借鉴地面交通规则的经验制定的。它的核心目的是要保障机上人员和飞经区域的地面群众的人身和财产安全。飞行规则分为通用飞行规则、目视飞行规则和仪表飞行规则三个部分。通用飞行规则是各类飞机共同遵守的基本规则,它的主要要求是:非经特殊允许,飞机不能在居民密集区域上空飞行,不能从机上向下抛任何物体。为了防止相撞,规定飞机在相对飞行相遇时,各自向右转躲避对方;在同向飞行时,如果要超越前方的飞机,后面的飞机要改变高度或从右侧超越。航向不同的飞机在空中交汇时,左方的飞机要为右面的飞机让路。空中的“交通警察”——空中交通管制员不像在陆地上执勤的警察可以在十字路口等地面对面地指挥汽车司机,他们靠飞机报告的所在位置和控制飞行的时间间隔来指挥飞机。因此在通用飞行规则中,要求在航线上飞行的飞机事先要提供飞行计划,被批准后,飞机才能被放行。在飞行时要得到管制员的许可,而且在规定的报告点向管制员报告飞经的时间、飞行高度等。由于对时间的控制是空中交通管制的基础,所以空中交通体系包括飞机和管制塔台都统一使用协调世界时,以保证空中交通管理的精确度。
针对目视导航或仪表导航的飞机分别制定了目视飞行规则和仪表飞行规则。目视飞行时,驾驶员主要依靠视觉来判断和发现其他飞行物或地面障碍。目视飞行规则的基础就是飞机能“看见”和“被看见”。也就是飞机之间、飞机和地面管制员之间能相互看见,用以保证飞行安全。目视飞行规则对能见度和天气情况做出了严格的规定,规定了目视飞行气象条件标准。如果天气状况达不到这些标准,飞机就不能被放飞。小型低高度的飞机大多采用目视飞行;大型飞机在气象条件允许时,尤其是在机场上空,空中交通繁忙区域,因为目视飞行灵活,有时也采用目视飞行。在空中管制工作中,目视飞行只占其工作量的一小部分。
(一)目视飞行规则
在可见天地线和地标的条件下,能够判明航空器飞行状态和目视判定方位的飞行。
实施目视飞行(按目视飞行下最低安全间隔和高度规定)的条件。昼间,飞行高度6000m以下;巡航表速在250km/h以下;云下飞行,低云量不超过3/8;符合规定的VMC。
1.目视飞行适用的范围
(1)起落航线飞行(不限速)。(2)昼间,飞行高度6000m以下。(3)巡航表速不大于250km/h。(4)通用航空在作业区的飞行。(5)执行通用航空任务调机到临时机场的飞行。(6)特定目视航线上的飞行(不限速)。
2.目视气象条件
VMC航空器与云的水平距离不得小于1500m,垂直距离不得小于300m;高度3000m(含)以上,能见度不小于8km; 3000m以上不得小于5km。
目视飞行的最低安全高度机场区域内巡航表速250km/h(含)以下,不得小于100m。其余按照区域内仪表飞行相关规定执行。航线巡航表速250km/h(含)以下,通常按区域内仪表飞行相关规定执行。低于最低高度层飞行,距航线两侧5km地带内的真实高度,平原和丘陵地区不得低于100m,山区不得低于300m。其余按照区域内仪表飞行相关规定执行。
3.目视飞行安全间隔
同航线同高度250km/h(不含)以下的航空器,航空器之间的距离不得小于2000m。250km/h(含)以上的航空器,航空器之间的距离不得小于5000m。超越前面的航空器时,应从右侧,保持500m以上侧向间隔超越。不同高度垂直距离不得小于300m。
4.目视飞行避让规则
两架航空器在几乎同一高度上对头相遇时,应当各自向右避让,相互保持500m以上间隔;同高度超越,从右侧,间隔500m。驾驶员从左侧看到应下降,右侧则应上升。
动力装置重于空气的航空器应当避让飞艇、滑翔机或气球。
飞艇应当避让滑翔机及气球。
滑翔机应当避让气球。
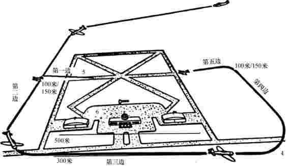
5.起落航线飞行规定
目视起落航线标准航线为左飞行高度: 300~500m,低空小航线不得低于120m,起飞后开始一转弯及着陆前结束第四转弯的高度不得低于100/150m(昼/夜),低空小航线不低于50m。纵向间隔(前后保持,至少1500m,后机负责间隔是否正确),A类航空器之间不得小于1500m; B类航空器之间不得小于3000m; C、D类航空器之间不得小于4000m,水平间隔A类航空器200m,BCD类航空器500m。起落航线飞行中,同型机不允许彼此超越。(CD类视作同型,不允许超越)如图所示。在执行上述间隔标准时,应注意航空器之间尾流的影响,同时应充分考虑起降航空器之间的尾流间隔标准。

(二)仪表飞行规则
仪表飞行规则是专门为使用无线电仪表导航的飞机制定的。它规定了靠仪表飞行时的气象条件。在仪表飞行时驾驶员仅靠仪表观测和管制员的指示飞行即可,不需要看到其他飞机和地面情况,因此仪表飞行的气象条件要宽于目视飞行。仪表飞行大大降低了天气对飞行可能造成的影响。仪表飞行规则要求飞机上必须配置齐规定的飞行仪表和无线电通讯设备;相应的,驾驶员也必须具备熟练使用这些仪表和设备的能力。驾驶员只有在取得仪表飞行的驾驶执照后才能进行仪表飞行。现在空中飞行的绝大多数航班都采用仪表飞行。
仪表飞行是完全或者部分按照航行驾驶仪表,判定航空器飞行状态及其位置的飞行。必须按照IFR飞行: IMC(低于目视气象条件);云层、云裳目视气象条件;夜间飞行;高度6000m以上。必须具有姿态指引、高度指示、位置判断和时钟等设备。
仪表飞行的最低安全高度(QNE),以机场导航台为中心,半径46km+ 9km山区范围内。距离障碍物最高点平原不小于300m,丘陵山区不小于600m。航路、航线飞行或转场飞行高原、山区高出中心线两侧25km最高标高600m,其他地区400m。
二、国际空中航行原则
国际空中航行,是指航空器经过一个以上国家领土之上空气空间进行的飞行活动。国际空中航行两条最基本的航行原则为:(1)属于某一国家的空气空间:领空主权原则;(2)不属于任何国家的空气空间:航行自由原则,但应遵守ICAO统一制定的空中航行规则。
在国际空中航行时还要注意以下几点:
(1)展示识别标志。从事国际航行的每一航空器都应载有国籍标志和登记标志。
(2)遵守飞入国的法律和规章。
(3)在设关机场降停,接受降停国的检查。
(4)应携带必备的文件。
(5)遵守飞入国关于货物限制的规定。
(6)不滥用民用航空器:不将民用航空器用于与《国际民用航空公约》宗旨不相符合的任何目的。
三、空中交通管制服务
空中交通管制服务(ATC)是空中交通服务的一部分,它的主要任务有以下几个方面:(1)防止航空器在空中相撞。(2)防止航空器在机场机动区与障碍物相撞;(3)加快空中流量;(4)保持有序的空中交通流。
四、空中交通管理系统
(一)空中交通管理系统的分类
空中交通管制系统按照管制范围的不同可分为机场塔台管制(TWR)、进近管制(APP)、间隔控制和区域管制(ACC)四种。
1.机场管制服务——机场控制塔台
机场管制服务是指在机场内起落航线上为飞行提供的管制服务。塔台管制区一般包括起降航线、仪表进近程序、第一等待高度层及其以下的空间和机场机动区。塔台提供本区域内的空中交通管制服务。塔台一般划归机场,以便机场的指挥协调和紧急情况的统一处置。
机场管制服务的目的就是为防止航空器相撞以及在机动区内航空器与障碍物相撞,维护并加速有秩序的空中飞行活动,向在机场附近飞行,接受进近管制服务以外的航空器提供的空中交通管制服务。
机场管制服务由机场管制塔台提供,管制员也叫塔台管制员,负责飞机进入跑道的运动和按目视飞行规则在机场控制的起降航线上飞行的交通管制。
大的机场还有地面管制员,控制在跑道之外的机场地面上,包括滑行道、机坪上的所有航空器的运动。地面管制员负责给飞机的发动机起动许可、进入滑行道的许可,对于到达的飞机,当飞机滑出滑行道后,由地面管制员安排飞机运行至机坪或候机楼。
机场管制地带通常由机场名称加上机场管制地带进行命名。
2.进近管制(终端管制)服务——进近管制室
进近管制就是为按仪表飞行规则飞行的航空器在起飞或降落阶段提供的服务。进近管制区是塔台管制区和区域管制区的连接部分。由进近管制中心负责进近管制区的空中交通管制服务。根据飞行繁忙程度可以单独设立,也可以与机场的塔台管制合二为一。例如,北京、上海和广州三个机场就因其繁忙,而单独设有进近管制区。
进近管制(终端管制〉的目的是为防止航空器相撞,维持并加速有秩序的空中飞行活动,向进场或离场飞行阶段接受管制的航空器提供的空中交通管制服务。
进近管制(终端管制)区包含仪表着陆、起飞及必要的等待空域。
进近管制(终端管制)区的下限通常在距离地面或者水面200m以上,或者为机场塔台管制区的上限。特殊情形的,另有规定。进近管制区(终端管制)的上限通常不超过标准大气压高度6000m,并取某个飞行高度层为其值。
进近管制(终端管制)区的外围边界呈阶梯状,确定外围边界时,己经充分考虑进近管制区内的最小爬升梯度、机场标高、机场管制地带的半径、管制区阶梯状外围边界是否与机场周围空域和地理环境相适应并符合有关的安全标准。
3.间隔控制
(1)离场控制
一般机场都制订出一个标准仪表离场程序(SID),它对飞机离场的航向、高度和转弯的地点、时间都有规定,进近管制员只要给出间隔,驾驶员就按照这个程序飞到航路区域。
(2)等待航线
当进近着陆的飞机较多而且大约同一时间到达时,为保证飞机正常的着陆间隔,必须由管制员制造出间隔以保证飞机的降落顺序。这需要依靠等待航线来实现。等待航线在机场控制区的保留空域,在地面设有无线电信标,飞机围绕信标在它上面分层盘旋飞行。
4.区域管制服务——区域管制中心
区域管制服务是指航空器进入航路,对航路(线)提供的空中交通管制服务。它是为防止航空器相撞,维持并加速有秩序的空中飞行活动,向接受进近和机场管制服务以外的航空器提供的空中交通管制服务。

区域管制区的范围包含按照仪表飞行规则运行的所有航路和航线、仪表等待航线区域和空中放油区等特殊飞行区域。区域管制区按照水平和垂直范围,又分高空管制区和中低空管制区。
高空管制区的下限通常是高于标准大气压高度6000m(不含),或者根据空中交通管制服务情况确定,并取某个飞行高度层为其值。
中低空管制区的下限通常在距离地面或者水面200m以上,或者为终端(进近)管制区或者机场塔台管制区的上限;中低空管制区的下限确定在平均海平面高度900m以上的,则取某个飞行高度层为其值。
中低空管制区的上限通常衔接高空管制区的下限;其上未设高空管制区的,应当根据空中交通管制服务情况确定其上限,并取某个飞行高度层为其值。
(二)早期管制手段——程序管制
在雷达引入空中交通管制之前,主要使用无线电通信按照规定的程序来完成管制,所以称为程序管制。在雷达管制引入之后,管制员的感知能力和范围有了提高,在间隔距离、情报的传递上有了大的改进,但在基本程序上没有太大的变化,因此,程序管制是整个空中交通管制的基础。在组织飞行时,程序管制员的基本信息和手段来自飞行计划。
飞行计划是由航空器使用者(航空公司或驾驶员)在飞行前提交给空中交通服务当局的关于这次飞行的详细说明。
制订飞行计划的目的是空中交通服务单位根据批准的计划对航空器提供管制、情报等服务;在航空器发生事故时,飞行计划能够提供搜索和救援的基本数据。
飞行计划的内容包括:航路、目的机场、预计飞行时间、纪要、起飞油量、备降机场、机长姓名、飞行规则(VFR或IFR)、飞机的编号、飞机型号、真空速、起飞机场、起飞时间以及巡航高度、速度等。
各个管制单位收到飞行计划后填写飞行进程单来实行和记录程序管制的过程。飞行进程单内容包括飞机的识别号、进程单的编号、飞机的型号和计算机识别号等。过去的进程单发送依靠打电话和手抄写,现在则由飞行数据转发打印机自动将这些情报发送出去。区域管制中心根据飞行计划和驾驶员的报告位置及有关信息填写自己的飞行进程单,如果发现间隔超过小时要采取措施调配间隔。
(三)现代管制手段——雷达管制
雷达发射无线电波在遇到障碍时发生反射,从而利用接受反射的信号探测前方的物体。雷达使用脉冲波而不使用非连续波。航管雷达分为一次雷达和二次雷达。雷达利用发射和接收电磁波时间差计算出距离。雷达主要用于助航导航,合理利用空间间隔,保证最小安全高度。
一次雷达发射的一小部分无线电脉冲被目标反射回来并由该雷达收回加以处理和显示,在显本器上只显示一个亮点而无其他数据。
二次雷达包括:机场监视雷达,距离100n mile,用于塔台或进近管制;航路监视雷达,范围在250n mile、13000m高度;机场地面探测设备,作用1609m。
二次雷达也叫做空管雷达信标系统,可获取飞机编号、高度和航向等参数。二次雷达探测距离一般在300~700km。
雷达管制包括以下几个方面:
(1)目标的识别和移交
目标的识别。实行雷达管制首先要对目标进行认识,如果把目标相对应的飞机识别错误,将会导致严重的航行事故。目标的识别具体包括一次雷达目标的识别和二次雷达目标的识别。
目标的转移,管制员把本管制范围内的飞机按照一定程序移交到下一范围的管制员。
(2)雷达间隔
雷达间隔包括垂直间隔、纵向间隔和离场的初始间隔。
(3)雷达协助导航
用于飞机在进近前截获进近航道和使用雷达进近代替仪表进近。
(4)雷达交通信息
管制员向驾驶员提供他的飞机和其他飞机的相对位置信息,从而避免相撞事故的发生。
(5)最小安全高度警告
对于装有C模式(可以报告高度)应答机的飞机,通过地面的一次雷达收到它的高度信息,通过计算机比对与障碍物的高度,当低于150m时,管制员就通知驾驶员,避免与障碍物相撞事故的发生。
(四)空中交通管制的责任和移交
二次控制的飞行在一个空域中只能由一个管制单位来管理。也就是说,一个交通管制单位必须为在它管制之内的空域中的所有航空器的安全负责。
为防止在移交过程中因程序混乱和责任不清而出现重大事故,有如下移交规则:(1)两个管制区域的移交。管制航空器的单位要把航空器越过管制区边界的时间通知下一个管制区,进行移交。(2)区域管制和进近管制之间的移交:要双方管制员同意,然后通知驾驶员,进行移交。(3)进近管制和机场管制之间的移交。在地面由机场管制员负责,在空中主要依据按什么飞行规则,按目视飞行规则(VFR)飞行的由机场管制负责,按仪表飞行规则的飞行由进近管制负责。
发出许可是管制员向航空器提供服务的基本手段之一。管制许可的内容包括飞机的编号(明确许可的对象)、许可范围、航路、飞行高度层(包括进入航路的指定高度层或申请后改变高度)以及在进近或离场时必要的机动飞行。
当一个管制空域上飞行过于密集,在一个特定的时间内,管制能力处理不了这样多的飞行,这时必然要发生较长时间的延误。这时管制单位要通知其他单位控制许可,减少空中拥挤,或通知驾驶员将会有较长的延误。
第二节 航情警报和告警服务
航行情报按照情报区提供。航行情报区是为提供航行情报服务和告警服务而划定范围的空间。
一、航情情报服务
(一)航行情报服务内容
航行情报包含航行资料服务、航图服务和气象报告服务二大类,是飞行员飞行的依据,由地面通告和空中交通咨询两部分组成。
航行情报资料的形式主要有永久性资料和临时性资料。航行资料包括航行资料汇编(国际航班飞行使用的基本资料和数据);航行通告;航行资料通告;飞行员资料手册。
航图包括世界航空地图、区域航空地图、航空计划地图、航路图、仪表进近图、机场图和机场障碍图。
航空气象服务包括常规报告和重要天气报告:航行情报发送。
(二)航行情报服务方式
服务方式主要是为机组飞行前准备提供航行通告、各类航图和《机场使用手册》等,以及为机组提供实施过程中所需的天气实况和预报、特殊天气警报等。
在飞行前二天的预先准备阶段,情报部门要为飞行员提供起飞机场、目的地机场、备降场及相关航路所有最新的航行情报资料(永久性资料)和提供情报讲解服务。
在飞行前一个半小时的直接准备阶段,情报部门需要为飞行员提供起飞机场、目的地机场、备降场及相关航路最新的临时性资料和提供航行情报讲解服务。
在飞行实施阶段,情报部门要随时掌握航班的飞行动态和情报的最新变化,以便让飞行员及时了解相关的临时性变化,及时调整飞行。
航行情报主要通过三种手段发送:①高频通信;②甚高频通信;③航站自动情报服务广播。
在飞行结束后,情报部门还要及时听取飞行员对于飞行程序和资料准备情况的一些意见,以便及时优化飞行程序、提高服务质量。
除了为飞行员提供服务以外,航行情报部门还要为空管、机场航务、航空公司飞行和签派等部门及时、准确地发布各种需要的航行资料,这些资料都是管制员指挥飞机的依据。
航行情报资料要及时修订和补充,保持其准确和完整性。
航行情报资料还必须按保密规定妥善保管,不得遗失;换下的旧资料必须按照保密规定进行销毁,不得失密;航空运输和通用航空企业停止业务,保密航行资料造册销毁,还要上报民航局航行情报服务中心备案。
二、航行通告发布
对飞行有直接重要意义的下列资料,必须发布航行通告:
(1)机场的开放、关闭,航路的建立、撤销和改变;
(2)空中交通服务和航行服务程序的建立、撤销和重要更改;
(3)飞行情报区、飞行管制区、管制地带、禁区危险区、限制区、空中走廊规定和程序的建立或改变;
(4)航路、机场导航设施、地空通信设备的建立、中断或者恢复工作,频率、呼号、位置、工作时间的改变或者工作不正常;
(5)地名代号、部门代码的增减或者改变;
(6)机场灯光系的设立和主要组成部分的中断、撤销或者恢复工作;
(7)跑道、停止理、滑行道、飞机等待位置和障碍物等的目视标志位置的改变或者撤销;
(8)机场区域内有碍飞行的障碍物的设置或者拆除;
(9)标志航行障碍物的障碍灯、危险灯的中断或者恢复工作;
(10)由于跑道、停止道、滑行道、停机坪的积雪、结冰或者积水产生的危害情况及消除;
(11)跑道、停止道、滑行道、停机坪及其附近有施工或者施工结束;
(12)消防、供氧设备暂时不能提供使用或者恢复使用;
(13)油料、加油设备暂不能提供使用或者恢复使用;
(14)气象设施及其程序的建立或者更改;
(15)施放气球、炮射、人工降雨、滑翔飞行、跳伞、火箭发射、航空演习以及有碍飞行的其他情况;
(16)搜寻援救服务和设施的重要变动;
(17)航行情报资料版本、内容、范围或者格式的重要更改;
(18)需要立即对外通知的航空法律、法规或者民用航空规章的修订情况;
(19)需要立即对外采取措施的出入境法律、法规和规章的改变;
(20)对外的卫生检疫规定、发生传染病需要更改预防注射或者检疫的要求;
(21)影响飞行安全的其他情况。
三、告警服务(AS)
当航空器处于搜寻和救援等紧急状态时,向有关单位发出通知,并给予协助的服务,即为告警服务。紧急状态包括发动机故障、无线电通信失效、座舱失压或遭遇空中非法劫机等。
第三节 飞行规则
一、通用飞行规则
通用飞行规则是所有航空器飞行时都必须遵守的规则,是为了保护生命和财产的安全,避免碰撞而确立的。具体内查包括以下内容。
(1)避免碰撞。航空器不得飞近到与另一个航空器有可能相撞的区域;除特殊允许,不得到禁区飞行;在机场附近要按机场上空规则飞行。
(2)航路权(优先通行权)。进近时:两架飞机相向飞行,各自右转;交会时:左面的航空器给右面的让路;超越时:超越者要改变高度或者向右转;降落时:空中或地面的飞机为在最后着陆的飞机让出航道,高度高的飞机为高度低的飞机让路;起飞时:滑行的飞机为起飞飞机让路。
(3)机上灯光标志。飞机必须按规定装有防撞灯和导航灯。
(4)飞行计划。飞机每次飞行都要向空管部门提交飞行计划。
(5)时间。使用世界协调时间,24h制计时。
(6)空中交通管制的要求。空中交通管制要求空管许可和位置报告。
二、飞行间隔
为了保证航空器安全,避免航空器相撞,不论是在空中还是在地面等待起飞(或降落)的航空器之间都必须保持一定的安全距离,这就是飞行间隔。机长必须按照规定的飞行间隔飞行,需要改变时,应当经飞行管制部门许可。飞行间隔的大小跟导航设备、通信设备以及管制员的个人能力有关。飞行间隔分垂直间隔、水平间隔。
在新航行系统建立、国内新修许多机场和部分机场改(扩建)等条件支持下,航线流量和容量都快速增加。特别是2007年,我国民航将原来600m间隔的高度层缩小到300m一层。过去,航班密集的8000m以上高空,每600m才设一个“车道”,如今有了更好的“千里眼”,300m的飞行间隔已成为令人放心的安全距离。“车道”加倍后,我国空域容量接近世界先进水平。
(一)垂直间隔
我国现行飞行高度层配备标准是国际标准,实施于2007年11月22日零时: 8400m以下飞行高度层实行300m垂直间隔; 8400m至8900m实行500m垂直间隔; 8900m至12500m实行300m垂直间隔; 12500m以上仍然为600m垂直间隔。如图所示为新旧高度层配备比较。
(二)水平间隔
水平间隔分为横向间隔与纵向间隔。而纵向间隔又分为时间间隔和距离间隔。
1.横向间隔
横向间隔是指航空器侧方最低间距,它的大小与使用的导航系统精度有关。航空器占用同一高度,使用VOR,两航空器航迹夹角大于150°,距离大于15n mile;使用NDB,航迹夹角不少于30°,距离大于15n mile;推测导航,航迹交角不少于45°,距离大于15n mile。
2.纵向间隔
纵向间隔是指使用同一航道和在机场起飞和进近时的间隔规定,由于航空器的飞行速度不同,因而纵向间隔要和飞行速度、航空器通过某一地点的先后联系起来。纵向间隔可以用时间来间隔,也可以用距离来间隔。
(1)常用时间间隔标准
①放行间隔:同型同速飞机在同航线、同高度层放行间隔10min;不同型不同飞机速航迹相同,速度快的先放,2min后再放速度慢的。
②进场间隔:同高度按仪表规则进场的,不论航向如何,到达同一导航台上空的时间间隔为10min;此外还有进近、离场飞行时的间隔规定。
③区域管制间隔规定:逆向或同向超越,改变高度的飞机,必须在与被穿越飞机预计相遇时间点前后10min上升到或下降到被穿越飞机的上一个或下一个高度层。
(2)距离间隔
如果飞机使用测距仪(DME)定位,同一航迹上飞机间隔为20n mile,若前一架飞机速度大于后一架飞机速度40km/h以上,间隔可降至10n mile。
距离间隔:如果飞机使用测距仪DME定位,就可以使用距离间隔。同一航迹上,飞机间隔为20n mile。如果前面飞机速度比后面飞机大40km/h以上,间隔减为10n mile。
第四节 空域管理
实行空域管理的最终目标是:分隔空域,实现对可用空域的最大利用,建立的空域要有灵活性,保证空域使各方在地位上的平等性;考虑空中交通国际性的特点,保证航路(线)建设符合实际使用情况和未来发展前景。
一、空域的类型和划分
各国根据自己的使用要求建立起自己的空域结构,包括飞行情报区、管制区、管制地带和管制机场。国际上根据是否对航空器提供交通管制服务,把空域划分为非管制空域、管制空域和限制性空域。管制空域分为A、B、C、D、E五类。其中服务等级、速度限制、飞机间距及无线电通信要求各不相同。非管制空域分为F、G两类,空军和民航涉及该区域的飞行不多,管制不严,多留给通用航空使用。限制性空域则是军事和国防用途,禁止商业飞行的空域。我国空域管理体制尚未与国际接轨,原则上民航管制空域只有机场区、主要航路区,除此之外全部是军事管制区。
视窗:美国的空域种类
A类:即绝对管制区(positive control area),横跨美国全境,从5500m 至18000m之间IFR飞行,空中交通管制机构负责所有飞行间的间隔。
B类:即终端管制区(terminal control area),一般建立在繁忙机场附近,从地面至3050m MSL,每个终端区的建立应极大地满足当地地形特点和航线的要求。IFR、VFR均可飞行,空中交通管制机构负责飞行间的间隔、每架飞机应有通信、导航、应答机等设备。
C类:即机场雷达服务区(airport radar service area),一般建立在中型机场,从地面或从某一高度至地面以上1200m,该区域一般由两部分组成即内环(半径5n mile)和外环(半径10n mile,下限366m),飞行员要保持和管制员的通信联络,飞机具有应答机、间隔的提供取决于飞行的种类,此乃B、C类空域的最大区别之一。
D类:即管制地带(control zone),一般建立在由管制塔台的机场,半径5n mile,从地面至管制空域的下限,通常是航路的下限305~914m。这样设计的目的是:使飞机从航路飞行至目的地机场的全过程能为管制空域的覆盖。
E类:即过渡区(transition area),一般从366m AGL至管制空域的下限,除A、B、C、D以外部分,也可以是366m AGL以下的空域,以确保飞机的进近过程为管制空域所包围。ATC机场只负责IFR间的间隔。
G类:即非管制空域,一般指366m AGL以下的空域,飞行安全由飞行员本人负责。
我国的空域分为飞行情报区,管制区,限制区,危险区,禁区。
飞行情报区是为了提供飞行情报服务和告警服务而划定范围的空间,我国现有飞行情报区8个(除台北、香港外):沈阳、北京、上海、广州、昆明、武汉、兰州、乌鲁木齐。为在中国境内和经国际民航组织批准由我国管理的境外空域内飞行的航空器提供飞行情报服务。
管制空域是一个划定的空间,在其中飞行的航空器要接受空中交通管制服务,根据所划空域内航路结构和通信导航能力,监视能力,我国将管制空域分为高空管制区、中低空管制区、进近(终端)管制区和塔台管制区。(也称为A,B,C,D类空域。)
民用航空的管制空域分为塔台管制区、进近管制区和区域管制区。在上述划定空域内提供空中交通服务的单位,相应的是管制塔台、进近管制室和区域管制室,它们通称为空中交通管制单位。
塔台管制区一般包括起落航线、仪表进近程序、第一等待高度层及其以下的空间和机场机动区。管制塔台负责塔台管制区的空中交通管制服务。
进近管制区是塔台管制区与区域管制区的连接部分。进近管制室负责进近管制区的空中交通管制服务,根据飞行繁忙程度也可以与机场管制塔台合为一个单位。中国目前大部分机场划设的是机场管制区,即塔台管制区与进近管制区合为一体共用,只有北京、上海、广州等机场划分了进近管制区。随着我国航空事业的发展,在繁忙的机场将逐步采取划设进近管制区的方法来分散日益增长的空中交通管制流量。
区域管制区,指在中国领空内,6600米(含)以上空间划分的若干高空管制区,根据实际情况,6600米(不含)以下划分的若干中低空管制区,各管制区的范围是依据其管制能力和地理特点划定。分别负责高空或中、低空管制区的空中交通管制服务的高空区域管制室、中低空区域管制室,也可以合二为一。
二、航线空域
航线区域划分有许多具体要求,目的是要在保证安全的前提下,最大限度地使用航线资源。坚持国际、国内航路有所区别的原则,国际航路的建立应与地区的总体航路网络相一致。其布局要求如下。
(1)在某一范围内,优先建立服务于大宗飞行量的主干航路。
(2)为了满足不同点的需求,建立起通往主干航路的引线。
(3)为了缓解高峰时期主干航路的交通压力,开辟备份航路。
(4)在兼顾经济效益的同时,也要注意社会需求,建立满足特殊飞行或部分用户的地方(支)行线。
(5)开辟临时性航线,满足假日、旅游、观光和会议等要求。
(6)在飞行量大或空域异常复杂地区,开辟单向航路。
(7)根据航路和航线的布局,空中交通服务针对掌握飞行中航空器进展情况的需要,在航路和航线上设置重要点(包括进离场航线在内的航路和航线),必须用代号予以识别。
(8)航路和航线上影响飞行安全的自然障碍物体,应当在航图上标明:航路和航线上影响飞行安全的人工障碍物体,应当设置飞行障碍灯和标志,并使其保持正常状态。
(9)航路和航线的代号、航段距离、两端点的起始磁航向、航段最低飞行高度和其他要求的信息,应当按照、航行情报发布规定予以公布。
(10)除了航线区域,还应有等待航线区域。这是为了解决或者缓解航空器在空中飞行过程中已经或者将要出现的矛盾冲突,在航路、航线或者机场附近划设的用于航空器盘旋等待或者上升、下降的区域。
①中高密度的航路或者航线划设有分流航线,或是建立支持终端或者进近管制区空中交通分流需要的进离场航线。
②航路或者航线与等待航线区域侧向分离开。
③最多可以允许两条空中交通密度较高的航路或者航线汇聚于一点,但是其交叉航迹不得大于90°。
三、特殊空域
危险区:可以由每个主权国家在权据需要陆地或领海上空建立,也可以在无明确主权的地区建立,它在所有限制性空域中,约束、限制最少。被允许在其内运行的飞机受到保护,其他航空器的运行会受到可能的影响,基于此,有关国家应在其正式的文件、通告中发布该区建立的时间、原因、持续的长短,以便于其它飞行员做决策——能否有足够的把握、充足的信心应对如此的危险。ICAO规定,在公海区域,只能建立危险区,因为谁也无权对公海飞行施加更多的限制。在美国,此区域被建立在了国际水域上空,当该区域建立所依赖的条件不存在时,即行撤消。我国在航图上以D表示。
限制区:是限制、约束等级较危险区高,又比禁区低的一种空域,在该空域内飞行并非是绝对禁区,而是否有危险,已不能仅仅取决于飞行员自身的判别和推测。此种类型的空域的建立一般不是长期的,所以最重要的是要让有关各方知道,该区何时开始生效,何时将停止存在,赖以建立的条件、原因是否依然。与该建立往往相关的活动包括有空中靶场、高能激光试验、导弹试验,有些限制区的生效时间持续24小时,有些仅仅作用于某些时段,其它时段对飞行无任何影响,美国FAA规定,一旦限制区生效,有关管制机构应该被通知,正式ATC机场才可发布许可指挥IFR飞行远离该区,VFR飞行可以获得来自ATC方面的导航帮助,但是飞行员必须应自行保持与限制区间的间隔,一旦限制区不再生效,有关的管理机构应通知ATC单位,然后才可允许IFR、VFR在该区域内的飞行,该区可在VFR、IFR航图上用R字母加以标注。
禁止区:被划分为永久性和临时性禁区两种,是在各种类型的空域中,限制、约束等级最高的,一旦建立任何飞行活动被禁止,除非有特别紧急的情况,否则将遭受致命的灾难。这些区域主要用来保护关系到国家利益的重要设施,核设施,化学武器生产基地,某些敏感区域,不仅本身很重要,而且当发生工作事故,波及到上述目标后,又将产生极大的危害,所以该区的建立各国都比较慎重,常以醒目的P在航图上加以标注。
放油区:围绕大型机场建立的供飞机在起飞后由于种种原因不能继续飞行,返回原起飞机场又不能以起飞全重着陆时而划定的一片区域,设计该区域的主要目的是放掉多余燃油,使飞机着陆时不超过最大允许着陆重量,对飞机不造成结构性损伤,大大减少其它可能事件的发生。这样的区域一般规划在远离城市的地带。
预留区:一般分为两种,参照地面相互位置不动的空域即为固定性,相互位置移动的空域即为活动性,前者往往涉及到这样一些飞行活动如军事训练、飞行表演等。后者往往涉及到空中加油、航路编队飞行等,无论是哪种,在预留区的外围应建立有缓冲区,以便于ATS机构能有足够的裕量保证其它飞行的安全。无论是何种预留区,使用的时间有长有短,但是当预留区建立时相关活动、飞行结束后,该区也应撤消。这样区域的建立也应和ATS机构有良好的协调,使得他们可以从程序及其它方面对该区的建设予以保障。
四、空中交通流量管理
空中交通流量是指单位时间内通过航线某一点或者某条航线的飞机数量(不分方向)。空中交通流量管理(ATFM)是指有助于空中交通安全、有序和快捷地流通,以确保最大限度地利用空中交通管制服务的容量并符合有关空中交通服务当局公布的标准和容量,而设置的服务。
空中交通流量管理的目的主要是在需要和预期需要超过空中交通管制(ATC)系统的可用容量期间内,为空中交通安全、有序和流量的加速提供服务,确保最大限度地利用ATC容量,保证空中交通最佳地流向或通过这些区域,为飞机运营者提供及时、精确的信息以规划和实施一种经济的空中运输,以尽可能准确地预报飞行情报而减少延误。
我国的空中交通流量有以下两个特点:空中交通流量快速增长。近年来,我国的空中交通流量增长很快,对军航、民航空管系统都造成了极大的压力,空中交通流量的状况取决于航线条数及长短、机场和飞机数量、起降架次等。空中交通流量分布不均衡。空中交通流量增长速度快,分布很不均衡,其流量主要集中在少数政治、经济、旅游中心城市的机场,尤其我国东部较发达地区。
我国飞行流量管理机构分为民航局飞行流量管理单位和地区管理局飞行流量管理单位两级。空中交通流量管理的具体实施单位。(1)塔台管制室:负责塔台管制地带内空中交通流量的管理。(2)进近管制室:负责进近管制区域内空中交通流量的管理。(3)区域管制室:负责区域管制区域内空中交通流量的管理。
流量管理系统在国际上起源于20世纪70年代中期,最初是为了缓解局部航运阻塞而设计和开发的专用系统,状况与我国现在的状况较为相似。经过20世纪80年代和90年代的发展,已成为ATM系统中必不可少的重要组成部分。他们的共同特点是:拥有中央数据库的支持、专门的流量管理部门和先进的流量管理系统。
在欧洲,1989年成立了CFMU(中央流量管理机构),为ECAC(欧洲民用航空委员会)的所有成员国提供ATFM服务。CFMU建立在ICAO的CTMO(集中ATFM组织)概念基础上,到1995年底,已初步在欧洲提供以下技术设备:(1)有关空中交通需求的战略数据库;(2)综合初始飞行计划的处理系统;(3)包含飞行计划的战术数据库;(4)利用战术数据的工具,特别是间隔自动分配功能;(5)连接CFMU与FMP(流量管制席位)和AO(IFR飞行和通用航空的用户)的数据网络;(6)进行ATFM规划和质量控制统计的档案数据库。
在日本,于1988年设计ATFM系统概念,1991年开始开发,1993年基本完成投入使用,主要由流量管理中心和四个区域管制中心和主要机场终端组成。
在美国,FAA(美国联邦航空局)采用ETMS(增强的交通管理系统)用于ATM服务。其中重要组成部分为ASD(航空器状态显示器),安装在ATSCC(空中交通系统指挥中心)和20个ARYCC(航路交通管制中心)和一些需要的TRACON(终端雷达进近管制)设施内,实现其流量管理功能。整个系统在ATM系统集成、监控告警、解决方案、专家系统及评估和易于扩展方面,均显示了其强大的功能。
在我国,现尚无专门的流量管理部门和流量管理系统,各管制中心仅通过流量表进行管理。由于民航发展的需求要求,空管局领导非常重视流量管理的发展,天津民航学院、南京航空航天大学、民航二所、民航飞行学院等院所从事ATFM理论和应用系统研究已有一定的基础,各管制中心和航站也积极支持该项研究的开展,建立飞行流量管理控制系统的条件已具备。
在ATM系统中,实现ATFM功能主要通过以下两种途径,以达到空中交通需求与ATC容量之间的平衡。战略ATFM:在航空器起飞前几个月直到起飞前24小时,主要解决瓶颈问题并采取改善措施。战术ATFM:在航空器起飞前24小时直到实际起飞,主要解决重新规划交通和合理分配时间间隔程序。为此,仍有许多关键技术问题需要解决,主要表现在以下四个方面:
1.管理机构和管理控制的方式
在整个ATFM系统中,是采用集中式为主的系统还是采用分布式为主的系统的问题。集中式为主的系统中,所有决策都由系统的中央控制人员做出,各子系统之间的协调工作也由系统的中央控制人员完成。分布式为主的系统中,各种决策都是由子系统的控制人员,在系统的辅助支持下做出,各子系统之间的协调由各子系统的控制人员通过系统提供的各种必要的信息和控制手段与系统交互完成的。管制控制方式的确立,将直接决定ATFM的系统结构。
2.信息源和信息的采集问题
要建立真正的ATFM系统,信息源的获取和强大的信息支持是必须的。除了ATFM系统本身的相关信息库(容量库,决策支持库等)外,ATFM必须获取五大信息源动态信息,完成对它们的采集。
气象信息:各机场、航线、区域、各高度层现行天气实况和预报的采集,卫星云图的采集,它将是评估ATFM动态容量的重要参数。
情报信息:空域信息、航线信息、实时NOTAM信息和飞行程序信息的采集,它将是空域库和航行情报库的基础。
雷达信息和ADS信息:各管制中心航路上的航空器的动态信息,提供现行流量。
飞行计划:各管制中心所有飞行计划和动态的详细信息。
话音信息:所有地面管制中心和航路上航空器的话音信息。
我国民航的该五大信息,系统独立,系统结构和数据格式均不一致,许多信息尚未量化,或未联网和集成,实现五大系统的采集问题,是建立ATFM系统的前提。
3.各类信息的相关和融合,及中央数据库的建立
转换各类数据,量化各类数据,解决各类数据的相互影响,供中央数据库完全接受,实现数据间的完全相关。将五大信息有效地转换入中央数据库,并实现五大数据的关联。如,气象的变化对飞行计划的影响,对空中航空器飞行时间、飞行速度的影响。NOTAM对空域,雷达系统的影响。话音与雷达系统同步。雷达信息或ADS信息对飞行计划的校正等等。
4.ATFM各类容量模型的建立、ATFM算法的实现、专家系统的建立
建立各机场、程序、航路的各类容量的模型,利用算法预计各机场、扇区和某些报告点出现的拥挤,为新的或需更改的飞行计划提供SLOT,提供最优或较优的ATFM解决方案。
程序设计和空域规划的变数多,客观条件要求大,使容量模型的建立比较困难。同时,信息量大,约束条件多,系统的实时要求使算法的求解面临组合爆炸,因计算的复杂而难于求解。这是ATFM本身亟待解决的问题。
本章小结
空中交通管制是指利用通信、导航技术和监控手段对飞机飞行活动进行监视和控制,保证飞行安全和有秩序飞行。在飞行航线的空域划分不同的管理空域,包括航路、飞行情报管理区、进近管理区、塔台管理区、等待空域管理区等,并按管理区不同使用不同的雷达设备。
空中交通管制可分为:一般空中交通管制,适用于整个国土上空;特别空中交通管制,适合于边境地区、通过国界的空中走廊和某些特殊地区上空;临时空中交通管制,适合于演习、飞行检阅和航天器发射场区上空;地方空中交通管制,适合于某些地方航线和经过该地区航线的管制。
空中的交通规则叫飞行规则,是借鉴地面交通规则的经验制定的。它的核心目的是要保障机上人员和飞经区域的地面群众的人身和财产安全。飞行规则分为通用飞行规则、目视飞行规则和仪表飞行规则三个部分。
空中交通管制系统按照管制范围的不同可分为机场塔台管制、进近管制、间隔控制和区域管制四种。
航行情报按照情报区提供。航行情报区是为提供航行情报服务和告警服务而划定范围的空间。
思考题
1.国际空中航行的原则。
2.空域的类型以及空中交通流量管理。
3.简述飞行规则。
上一篇:突变率的生物学意义及其估算方法
下一篇:与ldy的交流





.jpg)
.jpg)
